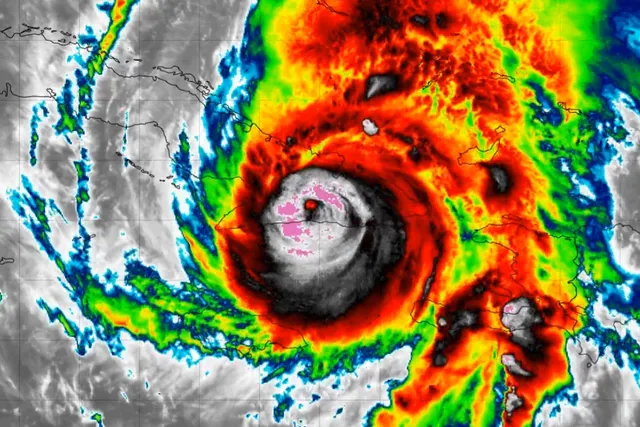
El huracán Melissa, que llegó a ser uno de los ciclones más potentes registrados en el Atlántico, continúa su paso destructivo por el Caribe. Tras arrasar Jamaica y cruzar el oriente de Cuba, el fenómeno —ahora de categoría 3— avanza hacia las Bahamas con lluvias torrenciales y riesgo extremo de inundaciones y deslizamientos, advirtió el Centro Nacional de Huracanes (CNH) de Estados Unidos.
Durante la madrugada del 29 de octubre, Melissa ingresó por el este de Cuba con vientos superiores a los 190 km/h. Las autoridades cubanas evacuaron a cientos de miles de personas y activaron alertas de huracán en las provincias de Granma, Santiago de Cuba, Guantánamo, Holguín y Las Tunas. En varias zonas, los aguaceros anegaron calles, elevaron ríos y provocaron deslizamientos de tierra. En Santiago de Cuba, brigadas de vecinos retiraban escombros mientras las comunicaciones seguían intermitentes.
Lea también Número de víctimas sigue aumentando tras la redada más letal en Río de Janeiro
Luego de cruzar territorio cubano, el huracán redujo su intensidad a categoría 2, pero retomó fuerza sobre el mar y volvió a categoría 3. Los modelos del CNH proyectan que llegará a las Bahamas en las próximas horas aún como un huracán “potente”, con lluvias persistentes que podrían amenazar la vida de las personas.
JAMAICA: ZONA CATASTRÓFICA Y DAÑOS MASIVOS
El martes 28, Melissa impactó Jamaica con vientos de hasta 295 km/h, convirtiéndose en el huracán más fuerte que ha golpeado la isla. El primer ministro Andrew Holness declaró el territorio como “zona catastrófica”. La evaluación de daños avanza lentamente: parte de la isla continúa sin electricidad y con comunicaciones interrumpidas.
Más de 25.000 personas están en refugios. El ministro de Gobierno Local, Desmond McKenzie, confirmó que comunidades enteras, incluidos hospitales en Saint Elizabeth, quedaron bajo el agua.
“Los daños son muy graves. Jamaica ha sufrido las consecuencias de Melissa”, afirmó McKenzie.
La Agencia de Salud pidió precaución por cocodrilos desplazados hacia áreas residenciales debido al aumento del nivel del agua en ríos y pantanos. En Kingston, habitantes observaban las olas romper contra el malecón mientras el huracán avanzaba hacia el norte.
RIESGOS CRECIENTES E IMPACTO DEL CAMBIO CLIMÁTICO
Científicos advierten que el calentamiento de los océanos está intensificando este tipo de eventos. Según el climatólogo Daniel Gilford, “el cambio climático provocado por el ser humano está agravando aún más los peores aspectos del huracán Melissa”. Su lento desplazamiento sobre Jamaica intensificó las lluvias y la destrucción.
Antes de llegar a Cuba, el fenómeno ya había provocado al menos siete fallecidos en Jamaica, Haití y República Dominicana.
RESPUESTA HUMANITARIA
La Cruz Roja repartía agua potable y kits de higiene antes de que las infraestructuras quedaran afectadas. La ONU anunció el envío aéreo de 2.000 kits de ayuda desde Barbados en cuanto las condiciones lo permitan, y extenderá asistencia también a Cuba y Haití. En Jamaica permanecen alrededor de 25.000 turistas, mientras figuras públicas como Usain Bolt llaman a “rezar por Jamaica” en redes sociales.
Con su trayectoria hacia Bahamas y luego hacia Bermudas, Melissa continúa amenazando al Caribe. Las autoridades de los países en su ruta piden a la población acatar las evacuaciones y mantenerse alerta ante un huracán que, según el CNH, todavía tiene potencial de causar daños extremadamente severos.
Huracán #Melissa abandona tierra firme en el oriente de Cuba y se adentra en el sudoeste del Atlántico en dirección a Bahamas. Melissa tiene presión central de 974 mb y vientos de 161 km/h. Fuertes vientos, precipitaciones y marea ciclónica dejan inundaciones en Cuba y Bahamas. pic.twitter.com/LAvokOCDTj
— Esteban Perdomo (@EstebanWXcast) October 29, 2025







