El Centro de Huracanes de Estados Unidos (CNH) describió a ‘Melissa’ como un huracán “extremadamente peligroso”, que puede provocar graves riesgos para la población local, entre ellos derrumbes de edificios.
Está próximo a tocar tierra en la localidad jamaicana de Negril. Avanza a un ritmo lento, con vientos máximos sostenidos que alcanzan los 290 kilómetros por hora.
El dramático llamado del CNH es a adoptar «medidas ya para conservar la vida”.
Lea también: Hamas afirma que no sabe donde están los cuerpos de rehenes faltantes
Los expertos ven “probable” que se produzcan derrumbes, especialmente en zonas elevadas, donde las rachas de viento pueden aumentar su fuerza hasta en 30 por ciento.
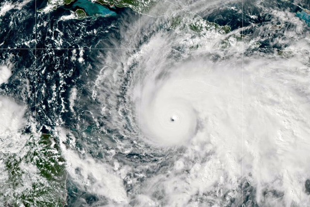
Hasta el momento las autoridades de Jamaica han confirmado la muerte de al menos tres personas por la caída de árboles, aunque la evolución de Melissa se sigue también de cerca en otros países de la región, como Cuba. El huracán está ya a 420 kilómetros de Guantánamo.
Se han registrado también tres fallecios en Haití y uno en República Dominicana.
«LA TORMENTA DEL SIGLO»
De acuerdo con diversos medios, Melissa experimentó una intensificación extremadamente rápida, fortaleciéndose a una rara categoría 5 -la máxima en la escala Saffir-Simson- y dicen que es uno de los huracanes más fuertes del Atlántico en la historia, que puede transformar Jamaica en los próximos años y provocar un desastre humanitario.
Una agencia de la ONU lo describió como la “tormenta del siglo”.
Las autoridades de Jamaica instaron a la población a buscar refugio ante la inminente llegada de Melissa.
La Cruz Roja ya empezó a distribuir agua potable y kits de higiene a la población. «Hay algunas zonas en las que ya se están produciendo deslizamientos de tierra», declaró a la AFP Esther Pinnock, responsable de comunicación de la ONG.
La Federación Internacional de Sociedades de la Cruz Roja y de la Media Luna Roja (IFRC) calcula que cerca de 1,5 millones de personas podrán verse afectadas por la tormenta. Jamaica tiene unos 2,8 millones de habitantes.
«La amenaza humanitaria es grave e inmediata», advirtió desde Ginebra Necephor Mghendi, jefe de la delegación de la IFRC para el Caribe anglófono y neerlandófono.
El primer ministro de Jamaica, Andrew Holness, expresó ayer en CNN que «no creo que haya infraestructura en esta región que pueda resistir una tormenta de categoría 5, por lo que podría haber una perturbación significativa»
Llamó a evacuar, por «el bien nacional de salvar vidas».
Una de las características de Melissa es su ritmo lento: avanza más despacio que una persona caminando, lo cual hace que permanezca más tiempo en cada lugar por donde pasa.
ALARMA EN CUBA
El huracán también amenaza el este de Cuba y al sur de las Bahamas y el archipiélago de Turcas y Caicos, un territorio británico.
En Cuba, el Consejo de Defensa Nacional declaró la «fase de alarma» en las seis provincias del este (Santiago de Cuba, Guantánamo, Holguín, Camagüey, Granma y Las Tunas).
Ahí empezaron a evacuar a unas 650 mil personas, mientras la población hace acopio de víveres y trata de asegurar con cuerdas los techos de sus hogares. Las clases y actividades laborales no esenciales fueron suspendidas.
Live from #Lucea #MontegoBay now. And it’s going to get worse still. @BBCNews @BBCBreaking @BBCWorld #Jamaica #Melissa pic.twitter.com/XHjbxULlal
— Cara. With a C 🤍 (@WithAC86) October 28, 2025







